樺加沙重整再飆風!最近台一條紫轟雨 花蓮「超大豪雨」警戒 - 科技沙包,防水沙包,防洪沙包,颱風沙包
中央氣象署持續針對強颱「樺加沙」(Ragasa)發布海陸警報,預報中心科長林伯東表示,目前颱風中心位置在鵝鑾鼻南方約270公里海面上,也就是說,目前是它最接近台灣的時刻,特別提醒,花蓮縣未來24小時降雨有可能達到超大豪雨標準,花蓮縣已經列入「降雨警戒」範圍。

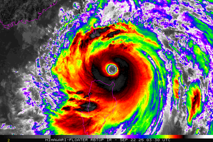
▲樺加沙結構重整,維持強颱強度穿越巴士海峽。(圖/翻攝NOAA)
林伯東在今(22日)晚8時的氣象署警報記者會中說明,預計未來樺加沙將以時速20公里、朝西北西移動,目前樺加沙還是一個強烈颱風,過去這段時間它其實中心的結構也經過了一番調整,未來它的強度還是能夠持續一段時間,接著進入南海之後,慢慢才會有減弱趨勢。
氣象署發布的陸上警戒範圍部分是恆春半島,台東縣、屏東縣以及高雄市,林伯東特別提醒,因為未來24小時花蓮縣的降雨有可能到達超大豪雨,花蓮縣已經列入降雨警戒範圍。
▼氣象署發布花蓮「超大豪雨」降雨警戒,一條紫爆。(圖/中央氣象署)

雨勢部分,根據雷達回波圖,目前颱風整個外圍環流以及環流雲系有正在逐漸的影響到台灣地區,尤其是整個東半部地區、北部地區以及高屏,基本上都已經受到對流影響,容易出現短延時強降雨,出現頻率若高,累積造成整天更大雨量出現。過去一小時截至晚上7點半,宜花東時雨量約20至40毫米,最大時雨量在花蓮縣,達到40.5毫米,宜蘭縣也來到40毫米,台東縣、屏東縣22到23毫米左右。
未來這段時間,今晚8點到11點,各地降雨3小時的累積降雨,宜花東都有可能會來到50到70毫米,平均來說大致上都有20到40毫米左右的降雨;明晨降雨會進一步增強,花東山區70到90、或90到110毫米的三小時累積雨量。另外,平均雨量其他地方也可能會再進一步增加到40到70毫米。這顯示颱風在逐漸移動過程當中,外圍雲系帶來很多短延時強降雨。
氣象署持續發布豪大雨特報,針對花蓮縣山區以及台東縣山區目前是超大豪雨警戒,花蓮縣平地、台東縣平地、高雄市山區、屏東縣山區是大豪雨警戒,另外宜蘭、恆春半島,蘭嶼綠島以及桃園山區,稍晚到新北市山區都有可能達到豪雨警戒。
風力部分,今天從0時一直到晚上7時,各縣市鄉鎮最大陣風分佈,普遍出現強風區域,大致上就是最接近颱風南端的區域,恆春半島以及蘭嶼綠島,都出現10級以上的陣風,屏東九棚有出現14級強陣風,蘭嶼也有出現11到13級陣風。另外一個比較明顯的區域就是在北部,西北部地區以及宜蘭地區普遍有8到10級陣風,預估未來強風還是會持續,未來18小時風力預測,今晚恆春半島可能還是會有11級以上的強陣風會,直到明晨、白天才會逐漸的減弱,但西北部基隆沿海地區仍會持續10級強風。


文章出處:ETtoday新聞雲